
ETIQUETAS | cómo ayudar a los daminificados en Providencia.
¿Cómo puedo ayudar a los afectados por el huracán Iota en Providencia y San Andrés?
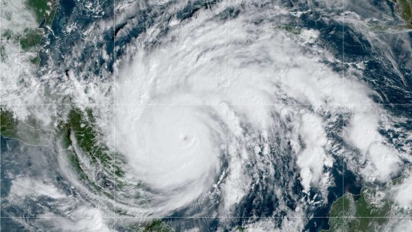
El huracán Iota ha afectado cerca del 98% de la infraestructura de Providencia, ha dejado [...]
17
Nov 2020
Nov 2020


